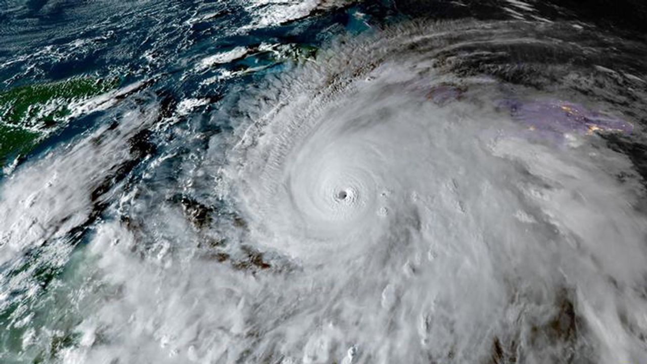
Karayipler’de etkili olan Melissa Kasırgası, bölge genelinde büyük yıkıma neden oldu.
Hızı saatte 295 kilometreye kadar çıkan kasırga, şiddetli yağışlar, fırtına ve sel felaketleriyle birçok yerleşim alanını vurdu.
Haiti’de Can Kaybı 30’a Yükseldi
Karayipler’in en yoğun nüfuslu ülkelerinden Haiti’de Sivil Savunma Kurumu, kasırga nedeniyle 30 kişinin hayatını kaybettiğini, 20 kişinin yaralandığını ve 20 kişinin de kaybolduğunu bildirdi.
Ülkede altyapı büyük hasar alırken, çok sayıda yerleşim yeri elektriksiz kaldı.
Jamaika’da 19 Kişi Yaşamını Yitirdi
Kasırganın etkili olduğu bir diğer ülke Jamaika’da, Eğitim, Gençlik ve Enformasyon Bakanı Dana Morris Dixon, daha önce 4 olarak açıklanan ölü sayısının 19’a yükseldiğini duyurdu.
Başkent Kingston’daki ana uluslararası havalimanı, yardım uçaklarının inişine izin verilerek yeniden faaliyete geçti.
Toplam Can Kaybı 49’a Ulaştı
Bölge genelinde ölü sayısı 29’dan 49’a yükselirken, binlerce kişinin barınma merkezlerine sığındığı belirtildi.
Haiti ve Jamaika dışında Küba’da da kasırganın etkisi hissedildi ancak ölü ya da yaralı sayısı bildirilmedi.
ABD’den Yardım Ekibi Desteği
Şiddeti en yüksek seviye olan 5. kategoriye çıkan Melissa Kasırgası sonrası ABD, Karayip ülkelerine arama-kurtarma ekipleriyle birlikte afet yardım personeli gönderdi.
Bölgede tahliye edilenlerin sayısının 735 bini geçtiği, kurtarma çalışmalarının ise devam ettiği kaydedildi.
 
             
             
                             
                             
                            




 
         
         
         
        